
Residential Development Drafting Solutions
Civil engineering and site development for subdivisions, multi-family communities, senior living, and custom residential projects — from feasibility through construction-ready plans.
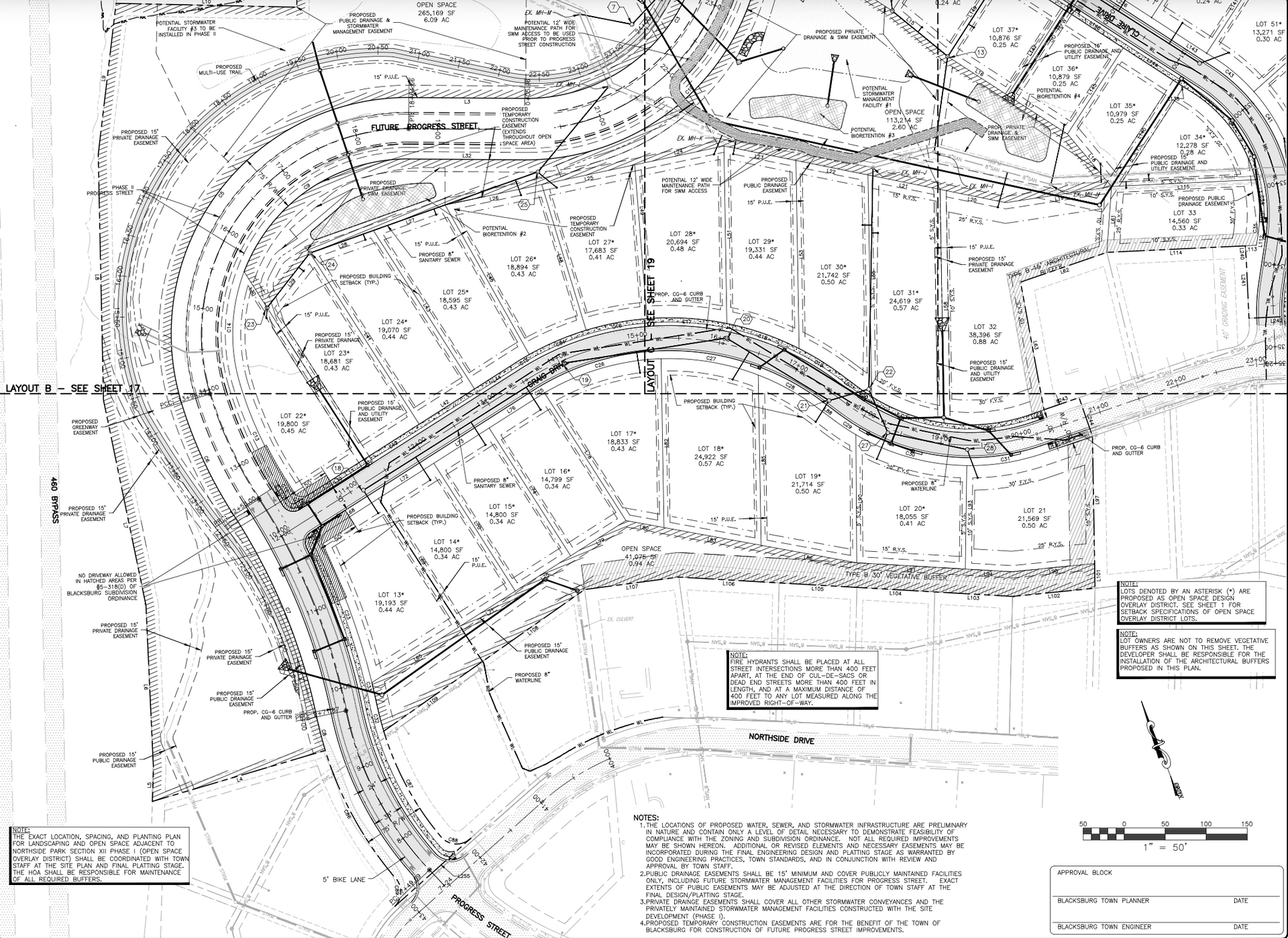
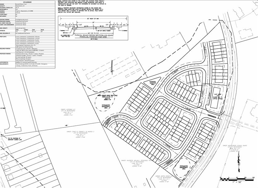
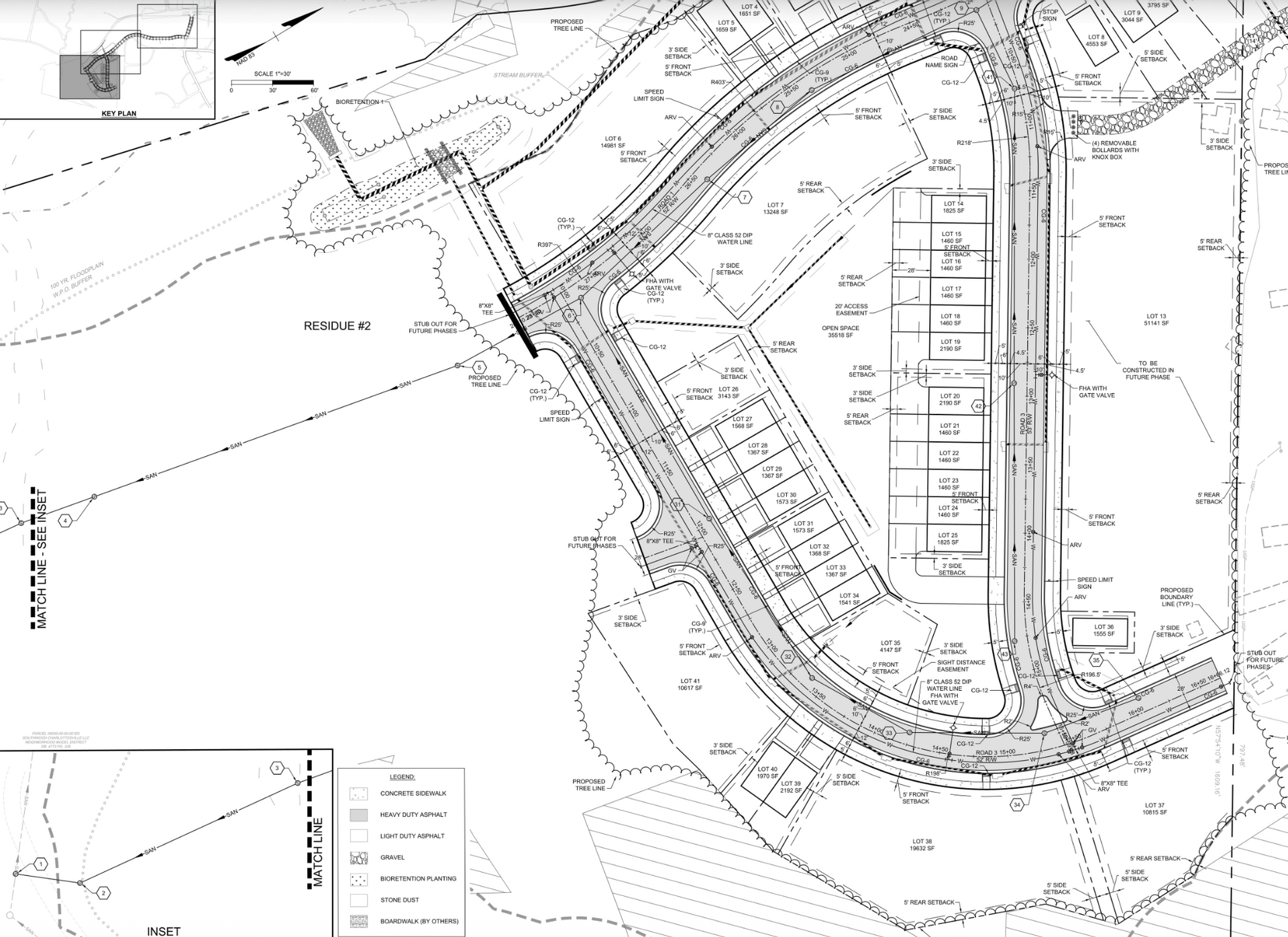
Residential Projects We've Delivered
Every residential project starts with the land — and every site brings its own challenges. We work through drainage, grading, utility access, and zoning constraints early so the design is buildable and the permitting process moves without unnecessary back-and-forth.
From landscape planning integrated with civil grading to residential layouts designed for functionality and code compliance, these examples highlight the residential projects we deliver from early design through construction-ready plans.
What We Bring to Your Residential Project
Winters Services helps residential projects get built the right way—starting with the land. We support homeowners, builders, and developers with practical engineering and design services that reduce surprises, speed up approvals, and keep construction moving.
Single-Family Subdivisions
Civil design, lot layout, grading, utilities, and permitting support for new single-family neighborhoods and phased subdivision development.
Multi-Family Developments
Site engineering for apartment complexes and townhome communities — including access, parking, utilities, grading, and stormwater management.
Senior Living & Assisted Living Facilities
Site development support for senior living and assisted living projects with attention to ADA access, grading, and utility infrastructure.
Master-Planned Communities
Large-scale planning and phased civil design for master-planned residential developments — coordinating roads, utilities, drainage, and open space.
Small-Scale Residential Projects
Engineering support for smaller residential builds — single lots, infill projects, and rural properties where practical solutions matter most.
Residential Additions & Expansions
Site evaluation, grading, drainage, and utility coordination for additions and expansions to existing residential properties.
Residential Design & Planning Services
Most engineering firms hand you plans. We go further. Winters Services offers in-house design capabilities that support every phase of development — from the first site layout to construction-ready documents. Whether it's residential or commercial, our design work is coordinated directly with our engineering so nothing falls through the cracks between disciplines.
Site Layout & Lot Configuration
Strategic layout of homesites, driveways, and access points to maximize land use while maintaining functionality and compliance.
Grading Plans (Preliminary & Final)
Detailed grading design to ensure proper drainage, elevation transitions, and build-ready surfaces.
Cut & Fill Earthwork Analysis
Balancing earthwork to reduce hauling costs, improve efficiency, and create a more cost-effective construction process.
Driveway & Access Design
Safe and practical access planning for residential properties, including alignment, slope, and connection to existing roads.
Drainage & Stormwater Management
Site-specific drainage design including swales, inlets, detention, and discharge — coordinated with grading so water goes where it's supposed to.
Utility Connections & Service Laterals
Planning and coordination for water, sewer, and other utility connections to ensure reliable service to each property.
Residential Floor Plan Drafting (Conceptual Support)
Early-stage drafting support for builders and homeowners to visualize layouts and align site design with structure placement.
Landscape & Preliminary Planting Plans
Basic landscape planning to enhance site usability, drainage performance, and overall project appearance.
Residential Development Services
Winters Services supports residential development projects at every scale — from single-lot builds to large master-planned communities. We handle the civil engineering, site planning, and permitting coordination needed to move projects from concept to construction with fewer surprises and faster approvals. By working closely with homeowners, builders, and developers, we help ensure each project starts with a clear, practical plan.
Our team provides engineering and planning support for a wide range of residential developments, including single-family subdivisions, multi-family housing such as apartments and townhomes, senior living and assisted living communities, and master-planned neighborhoods. We also assist with smaller residential projects such as individual homesites, property expansions, and additions that require proper site planning and utility coordination.
Whether you're planning a new neighborhood, preparing land for residential construction, or expanding an existing property, Winters Services provides the technical guidance and detailed design work needed to move projects forward with confidence.
Free No Obligation Estimate
Send us what you are working on and we will get you a quote quickly and efficiently!
Ready to Move Your Project Forward?
Whether you're developing a subdivision or preparing a single homesite, Winters Services delivers practical, buildable plans designed to keep your project moving forward.
Residential Development FAQ
Do you work with homeowners or only builders/developers?
Both. We support homeowners, builders, and developers depending on the project scope.
What do you need to get started?
A site address, your goals, and any survey, plat, or existing plans you have. If you don’t have them yet, we’ll tell you what to request.
Can you help with permitting in the Oklahoma City area?
Yes. We prepare plan sets and supporting documentation to help you move through review more smoothly.
How long does a typical residential plan take?
Timelines vary by scope and jurisdiction, but we’ll provide an estimated schedule after we review your project details.
Do you coordinate with contractors and other trades?
Yes. We can coordinate around grading, utilities, and construction requirements to reduce conflicts.



